中田南1丁目第6 第1期 新築分譲住宅
販売価格 5,288万円〜5,888万円(税込)
| 所在地 | 横浜市泉区中田南1丁目 |
|---|---|
| 交 通 | 横浜市営地下鉄ブルーライン「踊場」駅 徒歩7分 |
物件概要
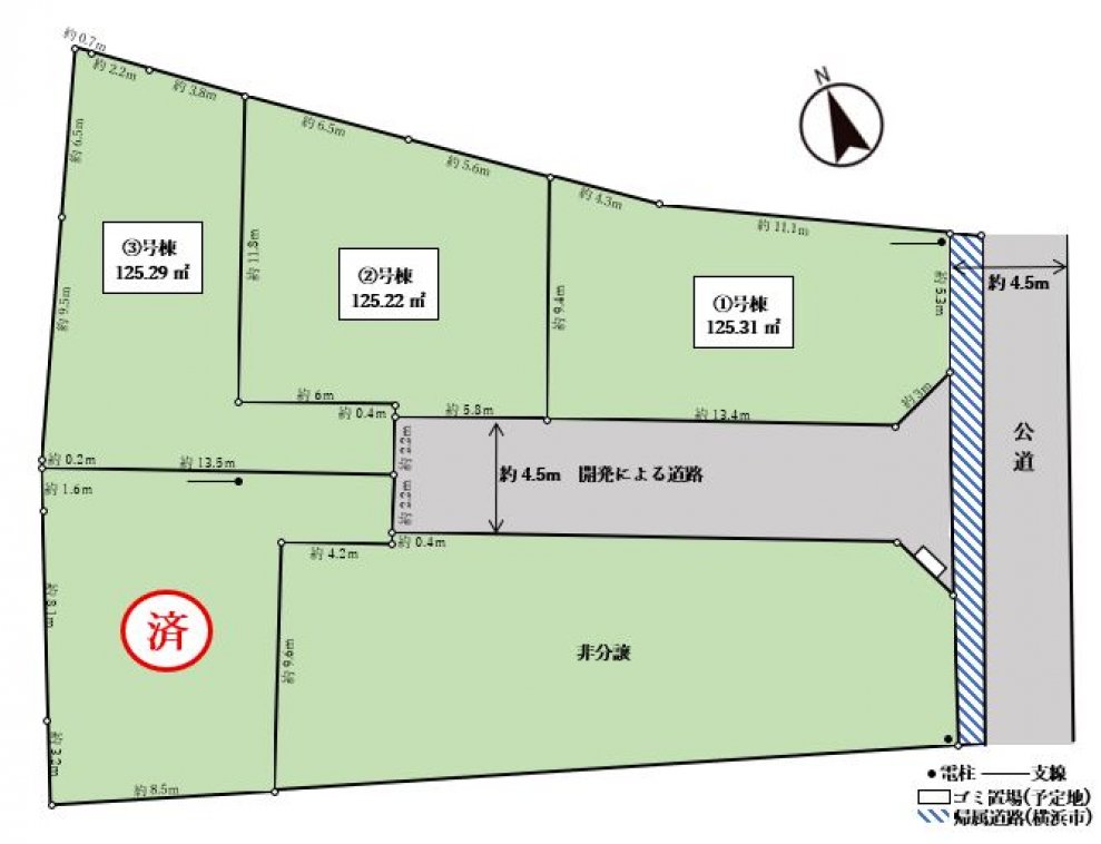
| 所在地 | 横浜市泉区中田南1丁目1366番5外 | ||
|---|---|---|---|
| 交通 | 横浜市営地下鉄ブルーライン「踊場」駅 徒歩7分 | ||
| 価格 | 5,288万円〜5,888万円(税込) | ||
| 物件名称 | 中田南1丁目第6 第1期 新築分譲住宅 | 物件番号 | 2391 |
| 物件種別 | 新築一戸建 | 販売棟数 | 全6棟 今回販売3棟 |
| 間取 | 4LDK〜3SLDK | 建物構造 | 木造 2階建 |
| 都市計画 | 市街化区域 | 地目 | 宅地 |
| 用途地域 | 第一種低層住専 | 建ぺい率 | 50% (40%) |
| 容積率 | 80% | 建築確認番号 | 取得済 |
| 現況 | 更地 | 駐車場 | あり |
| 取引態様 | 売主 | 小学区 | 横浜市立中田小学校 ※1 |
| 中学区 | 横浜市立中田中学校 ※1 | ||
| 備考 | 1.各区画別途私道持分として101㎡×1/6有り 2.①号棟に東京電力線下(地役権設定)が有ります。 3.①号棟に東京電力の電力柱及び支線が建植されております。 ①号棟:東京電力線下面積:0.07㎡ 線下補償料(年額=1,260円×㎡):88円 4.各区画に開発道路線下面積・補償料 42.58㎡・53,650円/年額×1/6有り 5.司法書士(あいおい総合事務所)、土地家屋調査士(勝俣桂樹事務所)は弊社指定となります。 6.住宅ローンは「JAバンク住宅ローン」で事前審査をご検討下さい。JA横浜本店事業推進課 ☎045-414-0018 担当:大沼様 <自治会:中田踊場自治会> | ||
※1 実際の通学区域とは異なる場合がありますので必ず各学校毎の通学区域住所をご確認ください。











